Goodshowcase
Vente terrain viabilisé Dangolsheim

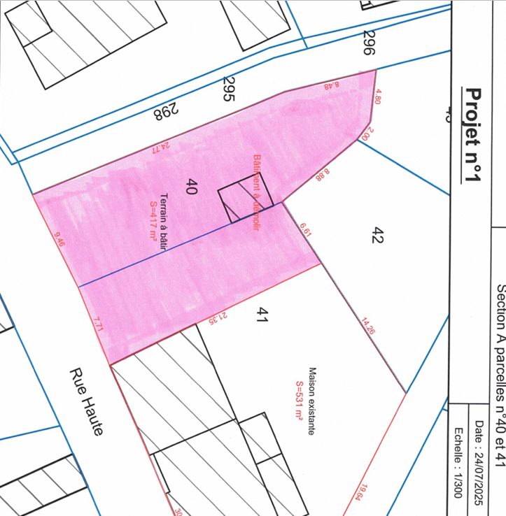
1 terrain viabilisé en vente à Dangolsheim (67)

Trier par : Prix | Date

Vente terrain

Dangolsheim 67310 - 0

99 000 €

... Molsheim et Strasbourg, à DANGOLSHEIM, notre agence RIBO Immobilier vous propose en exclusivité ce ...

Voir l'annonce