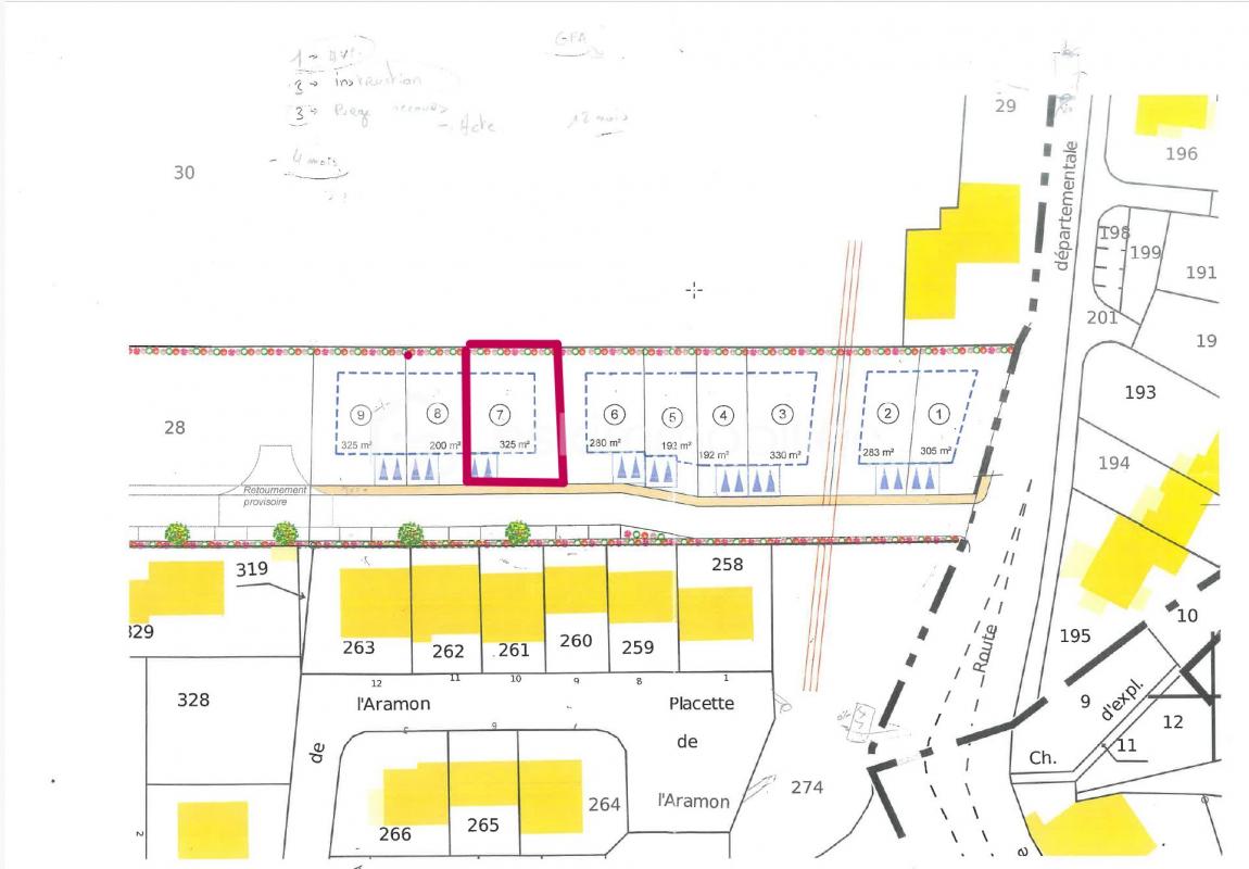
Terrain constructible 338 m² Quartier Saint-Louis de Gonzague, PerpignanDécouvrez ce terrain à vendre d'une superficie de 338 m², idéalement situé dans le quartier prisé de Saint-Louis de Gonzague à Perpignan. Référence : 1166Ce bien est parfait pour la construction de votre future maison ou pour un projet immobilier.Réglementation urbanistique : Retrait de 5 mètres par rapport à la voie publique (avec possibilité de carport) Construction accolée aux bâtis latéraux Prospect arrière de minimum 3 mètres Hauteur maximale de 9 mètres 2 places de stationnement obligatoires sur la parcelle Surface de plancher non limitée , elle dépendra du projet envisagé Terrain non viabiliséUn emplacement idéal pour les familles :À proximité, vous trouverez plusieurs établissements scolaires : École primaire Léon BlumÉcole primaire privée de l'Institut Saint-Louis de GonzagueLycée polyvalent Aristide MaillolCollège privé Saint-Louis de GonzagueCe terrain offre une belle opportunité pour un projet résidentiel dans un secteur recherché. Contactez-nous dès maintenant pour plus d'informations et une visite.ERA Immobilier Château Roussillon
338 m²
234 €
338 m²
Contact ERA > Anthony PIZZUTO
Contacter gratuitement à l'aide du formulaire ci-dessous.