Goodshowcase

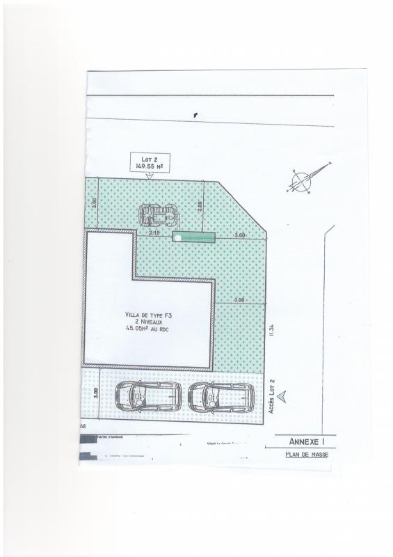
Vente terrain 7 pièces
233 200 €

Contact KAZE REUNION IMMOBILIER

Contacter gratuitement à l'aide du formulaire ci-dessous.


Afficher le téléphone


Annonces similaires

Vente terrain

Saint-Paul 97460 - 0

222 600 €

...situé dans un environnement au calme, sécurisé et résidentiel...

Voir l'annonce

Vente terrain

Saint-Paul 97460 - 0

222 600 €

...situé dans un environnement au calme, sécurisé et résidentiel...

Voir l'annonce