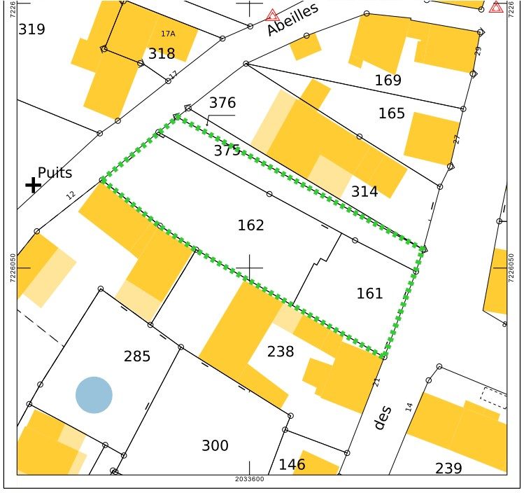
Bettlach, Grand terrain entièrement constuctible de 17,67 ares
Bettlach 68480
0
Honoraires à la charge du vendeur.
Achat Bettlach, terrain de 17,67 ares constructibles et non viabilisés. Libre de constructeurs et d'architectes. Possibilité de scinder le terrain en deux. - Localités proches du bien à vendre : Saint-Louis 68300, Huningue 68330, Village-Neuf 68128, Rosenau 68128, Kembs 68680, Niffer 68680, Hégenheim 68220, Hésingue 68220, Blotzheim 68730, Bartenheim 68870, Sierentz 68510, Basel.
Honoraires à la charge du vendeur. Les informations sur les risques auxquels ce bien est exposé sont disponibles sur le site Géorisques : georisques.gouv.fr.
Votre conseiller STAUB IMMOBILIER : Nicolas STAUBIMMO Tél. 07 71 18 14 40 Agent commercial (Entreprise individuelle). Suivez-nous sur Facebook, Instagram et YouTube pour découvrir nos dernières nouveautés. 2 agences à votre service STAUB IMMOBILIER 68300 SAINT-LOUIS / BASEL et 68870 BARTENHEIM
1767 m²
108 €
1767 m²
Contact Nicolas Tschamber
Contacter gratuitement à l'aide du formulaire ci-dessous.