Goodshowcase

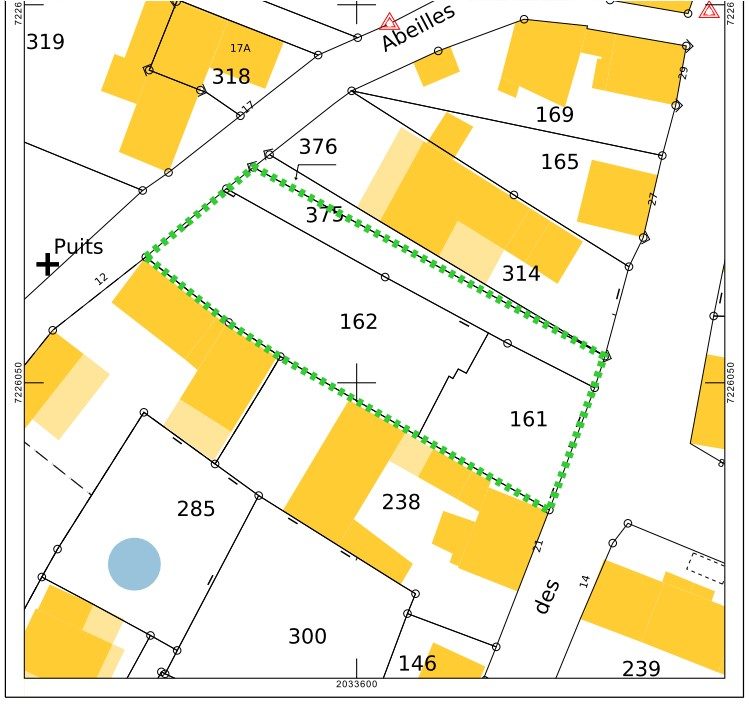
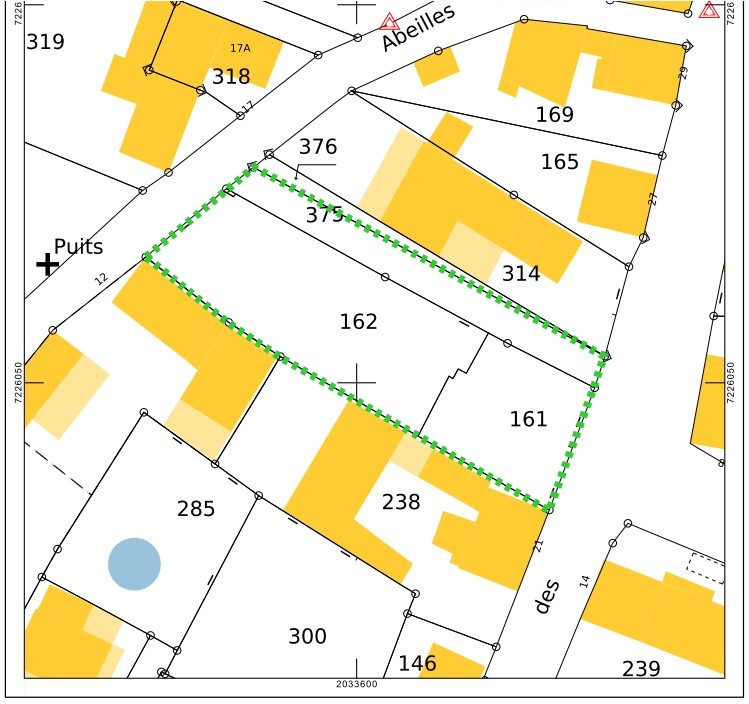
Vente terrain
228 900 €

Contact Staub Immobilier

Contacter gratuitement à l'aide du formulaire ci-dessous.


Afficher le téléphone


Annonces similaires

Vente terrain

Illfurth 68720 - 0

230 000 €

...Terrain d'une surface totale de 17,17 ares dont 13,03 constructibles...

Voir l'annonce

Vente terrain

Wahlbach 68130 - 0

249 000 €

...Un cadre idéal pour un projet immobilier ou professionnel : Environnement paisible, entouré de...

Voir l'annonce

Vente terrain

Labaroche 68910 - 0

225 000 €

...Idéalement exposé, au calme et entouré de nature venez découvrir ce terrain idéal pour la...

Voir l'annonce

Vente terrain

Rustenhart 68740 - 0

231 000 €

...Ce terrain non viabilisé vous offre l'opportunité de construire le projet de vos rêves...

Voir l'annonce

Vente terrain

Grussenheim 68320 - 0

223 000 €

...77 ares, clôturé, au centre village de Grussenheim...

Voir l'annonce