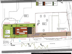
Bezouce (30): Terrain constructible plat de 603 m2
Bezouce 30320
0
Honoraires à la charge du vendeur.
Sur Bezouce (30), l'Agence Maxime Richert Immobilier vous présente en exclusivité ce beau terrain constructible d'une surface de 603 m2. Situé à l'entrée du village au calme et à deux pas des chemin de randonnées et des commerces, vous pourrez réaliser votre projet de construction en construisant une villa de plain pied avec une surface de plancher d'environ 100 m2. Hors lotissement et libre constructeur. Terrain plat, clôturé avec portail automatique. Réf :1236 Prix: 120 000 EUR honoraires inclus charge vendeur. Contacter l'Agence Maxime Richert Immobilier au 07 66 87 66 72 pour prévoir une visite et découvrir le projet sur place. Les informations auxquels ce bien est exposé sont disponibles sur le site géorisques : www.georisques.gouv.fr
603 m²
199 €
603 m²
Est
Ouest
Oui
Contact Maxime Richert Immobilier
Contacter gratuitement à l'aide du formulaire ci-dessous.