Bondoufle A LOUER 965m² bâtiment indépendant sur un terrain de 3350m²
Bondoufle 91070
0
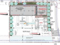
My Transac vous propose à la vente et à la location un batiment industriel indépendant de 965m² sur un terrain de 3 350m² situé à Bondoufle
Prestations :
Construction 2019
Droit à construire : 2 500m²
Entrepôt de 550m²
Bureaux RDC : 165m²
R+1 : 250m²
Air de manoeuvre : 2 425m²
Places de parkings : 12
Hauteur sous poutre : 10,5m
Résistence au sol : 5,5T
Résistence au sol extérieur : 6,5T
Portes sectionnelles : 2
Portes piétonnes : 2
Conditions financières
Prix Net Vendeur : 2 800 000 Euros
Honoraire de commercialisation : 5 % HT du prix net vendeur
Accès :
Idéalement situé à proximité immédiate de l'échangeur N104/A6
965 m²
Contact MY TRANSAC
Contacter gratuitement à l'aide du formulaire ci-dessous.