Bretignolles-sur-Mer, terrain à bâtir libre constructeur de 214 m²!!!
Bretignolles-sur-Mer 85470
0
Situé à Bretignolles-sur-Mer (85470), ce terrain à bâtir de 214 m² offre un cadre privilégié pour réaliser un projet de construction sur mesure. La ville de Bretignolles-sur-Mer est réputée pour son charme côtier, ses plages de sable fin et son ambiance paisible, idéale pour les amateurs de balades en bord de mer. De plus, la proximité des commerces, écoles et services facilite le quotidien des futurs propriétaires en quête de tranquillité et de confort.
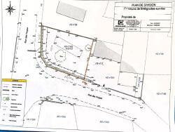
Libre de constructeur et non viabilisé, ce terrain présente un potentiel d'aménagement en totale adéquation avec vos besoins et attentes. Avec une façade avant d'environ 21 mètres et une façade arrière équivalente, sur une profondeur de 18 mètres, il offre un bel espace pour laisser libre cours à votre imagination et réaliser la maison de vos rêves. De plus, son accès en bordure de rue facilite les démarches de viabilisation. Cette opportunité rare dans la zone UC de Bretignolles-sur-Mer saura séduire les visionnaires en quête d'un investissement immobilier attractif.
Les informations sur les risques auxquels ce bien est exposé sont disponibles sur le site Géorisques : www.georisques.gouv.fr
Prix de vente : 86 000 €
Honoraires charge vendeur
Contactez votre consultant megAgence : Ronald RELMY, Tél. : 0767445663, E-mail : ronald.relmy@megagence.com - Mandataire indépendant en portage salarial
214 m²
402 €
214 m²
Contact Marc Lelogeais
Contacter gratuitement à l'aide du formulaire ci-dessous.