Honoraires à la charge de l'acquéreur (Prix hors honoraires : 362800 euros).
Constructions de 3 villas T4
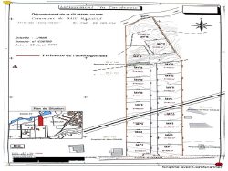
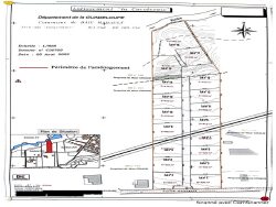
Niché au coeur de la magnifique commune de Baie-Mahault (secteur Convenance) en Guadeloupe, ce terrain constructible viabilisé de 410 m² + la construction d'une villa est une opportunité unique pour réaliser votre rêve de propriété, prêt à accueillir vos projets les plus ambitieux. Ce secteur (convenance) offre toutes les commodités nécessaires pour un confort de vie optimal. Avec un assainissement déjà en place, un permis de construire obtenu et des raccordements en eau, électricité et télécommunications. De plus, la possibilité de construire une piscine ajoute une touche de luxe à ce cadre idyllique. La localisation de ce terrain est idéale. À proximité, vous trouverez le vélodrome et des alimentations générales pour répondre à vos besoins quotidiens. Vous accéderez à plusieurs écoles maternelles et élémentaires, ainsi qu'à un collège et un médecin généraliste, assurant ainsi un environnement éducatif et médical de qualité pour toute la famille. Pour vos sorties et loisirs, des restaurants et le centre commercial Destreland se trouvent à quelques minutes en voiture , vous offrant une variété de choix culinaires. En 15 minutes en voiture, vous accéderez au nouvel hôpital et à l'aéroport Pôle Caraibes, garantissant une sécurité médicale optimale. Ne manquez pas cette occasion unique de créer votre havre de paix dans un cadre enchanteur. Contactez-nous dès aujourd'hui pour organiser une visite et découvrir tout le potentiel de ce lieu exceptionnel.
Les lots disponibles : 10, 12 et 14
Prix H.A.I (Honoraires Agence Inclus) 377 800
Les informations sur les risques auxquels ce bien est exposé sont disponibles sur le site Georisque : georisques. gouv. fr
Honoraires inclus de 4.13% TTC à la charge de l'acquéreur. Prix hors honoraires 362 800 . Dans une copropriété de 18 lots. Aucune procédure n'est en cours. DPE en cours. Les informations sur les risques auxquels ce bien est exposé sont disponibles sur le site Géorisques : georisques.gouv.fr.
Votre conseiller CHIPAN : Christian CHIPAN Agent commercial (Entreprise individuelle)