Honoraires à la charge de l'acquéreur (Prix hors honoraires : 0 euros).
Les charges de location sont prévisionnelles mensuelles avec régularisation annuelle.
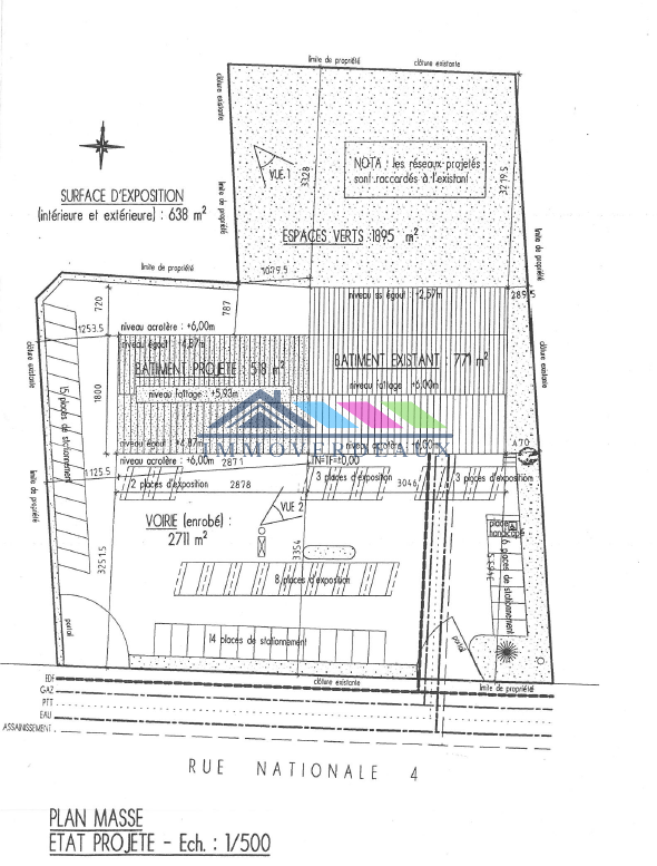
DEPOT NEUF A LOUER LAXOU - a partir de 208 m² - 11 cellules disponibles
Idéalement situé au coeur de la Zone d'Aménagement Concerté (ZAC) de la Sapinière à Laxou (54 520),
Détails des locaux d'activités :
Ces locaux d'activités sont divisibles, avec des cellules disponibles à partir de 208 m² et jusqu'à 2880 m², pour s'adapter à divers besoins. Les espaces sont livrés en rez-de-chaussée pour une accessibilité optimale et peuvent inclure une mezzanine selon vos besoins spécifiques. Chaque cellule est équipée de 4 places de parking, d'une porte sectionnelle facilitant le chargement et déchargement, ainsi que d'une entrée piétonne pour plus de praticité. Avec une hauteur libre maximale de 8 mètres, ces locaux sont conçus pour accueillir diverses activités, y compris celles nécessitant un accès poids lourds. L'ensemble du site est soigneusement clôturé, assurant une sécurité renforcée, essentielle pour les entreprises. Ce parc d'activités représente ainsi une solution complète, adaptable, et sécurisée, offrant des locaux neufs, prêts à être aménagés selon vos besoins.
Informations supplémentaires : Surface totale : 2880 m², divisible à partir de 208 m² Nombre de cellules : 11 Équipements : accès poids lourds, portes sectionnelles, hauteur libre de 8 m Localisation : Laxou, ZAC de la Sapinière, une zone stratégique offrant un cadre dynamique pour les entreprises 58 places aériennes VL et privatives dont 1 place PMR, 2 places/100m² Emprise totale au sol des bâtiments : 2 879,13 m² Notre équipe est à votre disposition pour répondre à toutes vos questions et vous accompagner dans votre projet d'implantation à Laxou.
Les informations sur les risques auxquels ce bien est exposé sont disponibles sur le site Géorisques : www.georisques.gouv.fr.
Local d'activités
208 m²
2964 %
Contact PJ.REAL ESTATE
Contacter gratuitement à l'aide du formulaire ci-dessous.