Sur les hauteurs de Fumel à proximité de l'hôpital et du lycée et dans une impasse.
À quelques minutes des commerces également de sa gare SNCF.
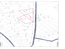
Venez découvrir cet ensemble de trois terrains constructibles d'une surface totale de 1937 m2, l'ensemble est vendu en lot.
Vous disposez d'un premier terrain de 644 m2, un second de 576 m2, et un troisième de 717 m2.
Les terrains sont actuellement tous bornés. L'étude de sol a été faite. Vous disposez en limite de propriété de l'eau, de l'électricité, ainsi que du tout-à-l'égout sur place.
À découvrir très rapidement.
Les informations sur les risques auxquels ce bien est exposé sont disponibles sur le site Géorisques : www.georisques.gouv.fr
1937 m²
15 €
1937 m²
Sud
Oui
Contact VIDALLER
Contacter gratuitement à l'aide du formulaire ci-dessous.