Grand terrain libre de constructeur dans un écoquartier à La Chapelle-Thouarault
La Chapelle-Thouarault 35590
0
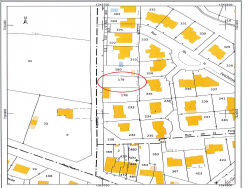
TERRAIN LIBRE DE CONSTRUCTEUR DE 484M² DISPONIBLE À LA CHAPELLE THOUARAULT !
Dans un environnement calme à proximité du centre-bourg, l'aménageur Territoires vous propose un terrain à bâtir, sans vis-à-vis (lot 17-6) de près de 500m2. Avec un choix libre de constructeur, maitre d'?uvre ou architecte, installez-vous dans l'écoquartier La Niche aux Oiseaux à La Chapelle-Thouarault, à seulement 15 km de Rennes. Le terrain dispose d'une vue dégagée sur la campagne bocagère, au c?ur d'un quartier labellisé Écoquartier, pensé pour la préservation de la biodiversité.
Commune respectueuse des paysages authentiques qui la composent, La Chapelle-Thouarault est située à une quinzaine de kilomètres à l'ouest de Rennes. Elle est desservie par une ligne de bus du réseau STAR et par une ligne du réseau Breizhgo.
Erigé en totale harmonie avec l'écrin de nature qui l'accueille, à 5 min à pied du centre-bourg, la Niche aux Oiseaux est un écoquartier aménagé à proximité immédiate des écoles, commerces et sentiers de promenade.
Avec ce terrain libre de constructeur, réalisez le projet qui vous ressemble, accompagné par Territoires Rennes à chaque étape (dossier technique, réservation, permis de construire?)
Pour toutes informations supplémentaires, rdv sur le site de Territoires Rennes, rubrique "terrains à vendre".
Sur toutes nos offres, bénéficiez de frais de notaire réduits, grâce à une réduction directement appliquée sur les droits de mutation à titre onéreux applicables aux ventes de biens immobiliers.
484 m²
258 €
484 m²
Contact TERRITOIRES ET DEVELOPPEMENT
Contacter gratuitement à l'aide du formulaire ci-dessous.