LAUBENHEIM - MOLLKIRCH, Beau et grand terrain viabilisable idéa
Mollkirch 67190
0
Honoraires à la charge de l'acquéreur (Prix hors honoraires : 170000 euros).
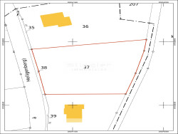
LAUBENHEIM, commune de MOLLKIRCH, nous vous proposons ce beau et grand terrain viabilisable et libre d'architecte d'une superficie de 21 ares 28 centiares.
La parcelle est située en zone constructible Ub, 'Extensions intermédiaires entre les parties anciennes' du P.L.U. de la commune. Pentée vers l'Est, cette dernière est limitée au Nord et au Sud par des habitations avec jardins, à l'Ouest par la route de Laubenheim et à l'Est par une zone boisée. L'exposition au retrait / gonflement des argiles est donnée à moyenne.
Rapport d'étude géotechnique préliminaire G1 ES+PGC loi Elan effectué et disponible.
La commune de LAUBENHEIM - MOLLKIRCH est une commune de moyenne montagne (320 m d'altitude) très agréable et idéalement située au calme et à seulement 30 minutes de STRASBOURG par les axes routiers.
Opportunité à découvrir rapidement...
Référence annonce : VT069.
Votre contact pour cette annonce au sein du cabinet Stiegler Immobilier : Arnaud WURTZ ? 07.86.68.31.78 arnaud.wurtz@stiegler-immobilier.fr EI - Agent commercial - R.S.A.C Strasbourg 888 939 600
Honoraires inclus de 7% TTC à la charge de l'acquéreur. Prix hors honoraires 170 000 . Les informations sur les risques auxquels ce bien est exposé sont disponibles sur le site Géorisques : georisques.gouv.fr.
Votre conseiller STIEGLER IMMOBILIER : Arnaud WURTZ Agent commercial (Entreprise individuelle) RSAC 888939600 RCP VD 7.000.002/AC18017. Si vous avez encore des questions concernant ce bien, n'hésitez pas à nous contacter, nous nous tenons à votre disposition pour répondre à toutes vos interrogations.
2128 m²
85 €
2128 m²
7 %
Contact STIEGLER IMMOBILIER
Contacter gratuitement à l'aide du formulaire ci-dessous.