Local d'activités - 115 à 1 890 m2 - Les Sorinières
Les Sorinières 44840
0
Honoraires à la charge de l'acquéreur et du vendeur (Prix hors honoraires : 2580020 euros).
TCB Immobilier d'entreprise vous propose à la vente des cellules d'activités divisibles à partir de 115 m2 en VEFA. Situé aux Sorinières, à proximité des axes routiers.
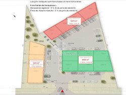
13 cellules de 115 à 257 m2 (hors mezzanine) Livré brut de béton Porte sectionnelle Éclairage led TGBT Places de stationnements Stockage extérieur possible Site clos et sécurisé
Possibilité de cumuler les cellules, à votre convenance
Le terrain est situé en zone UEm - Secteur d'activités économiques mixtes.
Disponibilité : Premier semestre 2026
Prix de vente : consulter la grille tarifaire
Honoraires à la charge du vendeur et de l'acquéreur. Honoraires inclus de 3% HT à la charge de l'acquéreur. Prix hors honoraires 2 580 020 HT. DPE en cours. Les informations sur les risques auxquels ce bien est exposé sont disponibles sur le site Géorisques : georisques.gouv.fr.
AC ADC44012024000000082
Local d'activités
1890 m²
1 406 €
3 %
Contact Hugo RAGUENEAU
Contacter gratuitement à l'aide du formulaire ci-dessous.