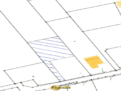
Explorez le charme exclusif de ce terrain exceptionnel de 8,5 ares, niché au coeur d'une impasse tranquille. Avec 8.5 ares viabilisé prêts à accueillir vos rêves architecturaux dont 1 are d'accès, cette parcelle offre un emplacement idéal pour créer votre maison parfaite. Immergez-vous dans l'environnement pittoresque qui entoure ce terrain, offrant une vue panoramique sur la nature, élevant votre futur chez-vous à un niveau d'élégance incomparable. La localisation privilégiée de ce terrain viabilisé ajoute une touche exclusive à 17 minutes de Bâle et à 6 minutes de bartenheim dans un environnement calme et chaleureux. La topographie plate du terrain simplifie la construction, offrant une toile idéale pour concrétiser votre vision architecturale. Le terrain est libre de tout constructeur vous laissant la liberté de créer votre maison idéale. Saisissez l'opportunité de créer une maison d'exception dans ce lieu enchanteur, où la nature rencontre l'élégance. Ce terrain attend avec impatience de devenir le cadre magique de votre futur chez-vous. L'agence Efco immo se fera un plaisir de répondre à vos questions et de vous faire découvrir ce terrain ! Pour cela contactez-nous !
850 m²
276 €
850 m²
Oui
Contact
Contacter gratuitement à l'aide du formulaire ci-dessous.