Honoraires à la charge de l'acquéreur (Prix hors honoraires : 65000 euros).
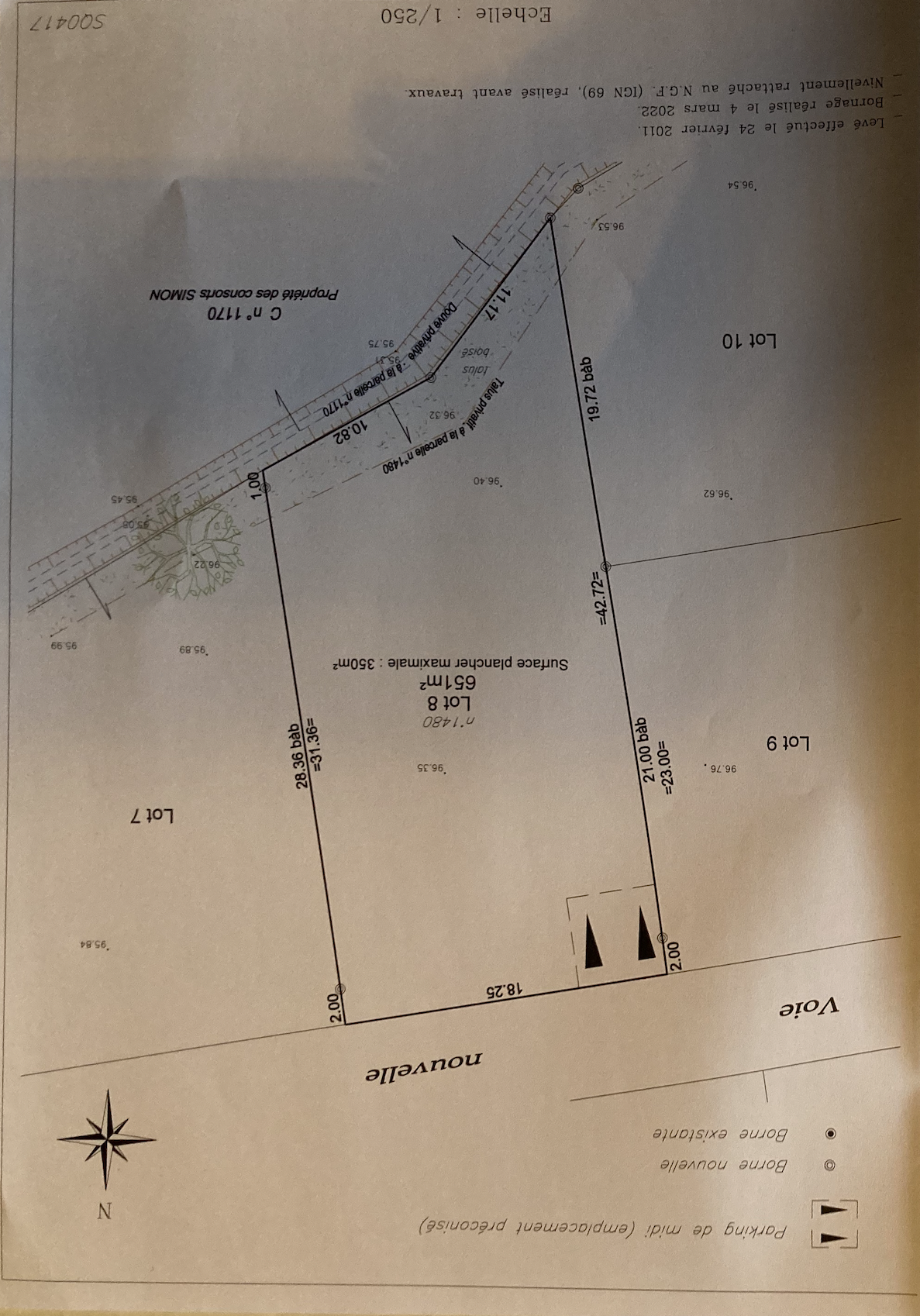
AIS SAINT CAST LE GUILDO - Terrain idéalement situé en plein coeur de la commune de Plancoët, dans un environnement paisible et verdoyant. D'une superficie d'environ 591 m2, ce terrain offre la possibilité d'implanter une maison orientée plein sud, bénéficiant ainsi d'un ensoleillement optimal tout au long de la journée. Situé dans une rue très calme, ce bien allie tranquillité et proximité des commodités locales : commerces, écoles, services et gare sont accessibles à pied. Pour les amoureux de la mer, les premières plages se trouvent à moins de 15 minutes en voiture, offrant un cadre de vie agréable entre terre et littoral. Il représente une belle opportunité pour construire une résidence principale ou secondaire dans une commune dynamique et accueillante. Pour plus d'informations ou pour organiser une visite, n'hésitez pas à nous contacter.
Les informations sur les risques auxquels ce bien est exposé sont disponibles sur le site Géorisques : www.georisques.gouv.fr
591 m²
118 €
591 m²
7.69 %
Sud
Nord
Oui
Contact Agence Immobiliere Service (A.I.S)
Contacter gratuitement à l'aide du formulaire ci-dessous.