Terrain constructible à fort potentiel ? Villeneuve-Saint-Georges
588 m² | Quartier en pleine transformation | Proche RER D
Vous êtes investisseur ou porteur d'un projet immobilier ambitieux ?
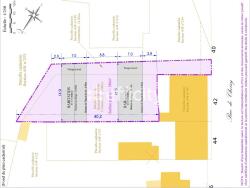
Situé à Villeneuve-Saint-Georges, ce terrain constructible de 588 m², composé de deux parcelles attenantes, représente une opportunité rare dans un secteur dynamique en pleine mutation.
Localisation idéale
En retrait de la route, à proximité immédiate des bords de Seine, ce terrain offre un environnement à la fois calme, accessible et verdoyant.
Très bonne desserte
À 700 mètres de la gare RER D Villeneuve Triage : Paris-Gare de Lyon en seulement 15 minutes
Lignes de bus à proximité
Accès rapide aux grands axes routiers
Fort potentiel constructible
Le PLU ne fixe aucun coefficient d'emprise au sol maximal, ce qui permet une grande liberté architecturale :
Construction d'une ou deux maisons individuelles
Réalisation d'un petit collectif
Projet locatif ou patrimonial sur mesure
Un quartier en renouveau
Ce terrain s'inscrit dans une zone d'aménagement en plein développement, portée par Nexity, incluant :
Des logements neufs
Une crèche, un commerce de proximité, une maison médicale
Un cadre de vie moderne et attractif, pensé pour les familles et les actifs.
Vie de quartier pratique
Écoles maternelle et primaire à 300 m
Collèges accessibles en moins de 10 minutes
Commerces, services et équipements publics à proximité
Les + :
Belle surface de 588 m²
Environnement calme et recherché
Souplesse réglementaire
Idéal résidence principale, division parcellaire ou investissement locatif
Contactez-moi dès maintenant pour plus d'informations ou pour organiser une visite. Ce terrain est prêt à accueillir votre projet !
Les informations sur les risques auxquels ce bien est exposé sont disponibles sur le site Georisque : georisques. gouv. fr
Massinissa Mouhoubi - EI - est Agent Commercial mandataire en immobilier, immatriculé au Registre Spécial des Agents Commerciaux du Tribunal de Commerce de Toulouse sous le n°523603595.
Siège social du mandant : effiCity, 48 avenue de Villiers - 75017 PARIS - Société par Actions Simplifiée, société au capital de 132 373,05 euros, immatriculée au RCS Paris 497 617 746 et titulaire de la Carte professionnelle CPI 7501 2015 000 002 025 - CCI Paris IDF - Caisse de Garantie : GALIAN Assurances 89 rue de la Boétie 75008 Paris
588 m²
629 €
588 m²
Oui
Contact M. Massinissa Mouhoubi
Contacter gratuitement à l'aide du formulaire ci-dessous.