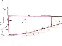
Afin de concrétiser votre futur projet, Envie d'un toit met en lumière cette parcelle de terrain à bâtir de 322 m² hors lotissement située sur la commune du Neubourg. Venez profiter d'un terrain situé dans un environnement calme, proche des commerces et de toutes commodités. La parcelle est vendue non viabilisée, les réseaux sont en bordure du terrain (eau EDF tout à l'égout). Taxe de raccordement au tout à l'égout est de 3600 . Libre de constructeur. A saisir !
Honoraires à la charge du vendeur. Les informations sur les risques auxquels ce bien est exposé sont disponibles sur le site Géorisques : georisques.gouv.fr.
Votre conseiller Envie d'un toit : Gérante - Maëva DUVILLIER Carte T CPI76062022000000019 RCP 120137405
318 m²
154 €
318 m²
Oui
Contact Maeva DUVILLIER
Contacter gratuitement à l'aide du formulaire ci-dessous.