? SOUS OFFRE D'ACHAT ?
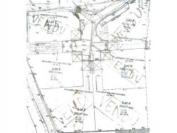
84850 CAMARET SUR AIGUES ? A VOIR ABSOLUMENT ? TERRAIN CONSTRUCTIBLE ? Lot 2 ? 470M² ? POSSIBILITE DE MIXER HABITATION & PROFESSION LIBERALE ? PISCINABLE ? DANS CHARMANT NOUVEAU PETIT LOTISSEMENT ? SECTEUR CALME & RECHERCHE ? LIBRE CONSTRUCTEUR ?
efficity, l'agence qui estime votre bien en ligne vous propose de découvrir avec Raphaël Deloche, ce joli TERRAIN PLAT & BORNE, d'une superficie de 470m². Idéal pour accueillir votre futur projet de CONSTRUCTION DE PLEIN PIED OU ETAGE, avec une EMPRISE AU SOL de 40%. Situé sur l'agréable commune de Camaret sur Aigues, vous y trouverez toutes les commodités souhaitées.
Emprise au sol 188m² ? Surface de plancher 130m² ?
Etude de sols G1 réalisées ?
DEPECHEZ-VOUS : dernier terrain disponible sur 6 lots.
Renseignements & visite avec Raphaël Deloche au 07.71.56.55.84.
Cette opportunité n'attend plus que vous et votre petit cocoon.
Les informations sur les risques auxquels ce bien est exposé sont disponibles sur le site Georisque : georisques. gouv. fr
Raphaël Deloche - EI - est Agent Commercial mandataire en immobilier, immatriculé au Registre Spécial des Agents Commerciaux du Tribunal de Commerce de Avignon sous le n°850822784.
Siège social du mandant : effiCity, 48 avenue de Villiers - 75017 PARIS - Société par Actions Simplifiée, société au capital de 132 373,05 euros, immatriculée au RCS Paris 497 617 746 et titulaire de la Carte professionnelle CPI 7501 2015 000 002 025 - CCI Paris IDF - Caisse de Garantie : GALIAN Assurances 89 rue de la Boétie 75008 Paris
470 m²
223 €
470 m²
Oui
Contact M. Raphaël Deloche
Contacter gratuitement à l'aide du formulaire ci-dessous.