Terrain à construire bourg de Saint Julien de Vouvantes 2 16
Saint-Julien-de-Vouvantes 44670
0
Honoraires à la charge de l'acquéreur (Prix hors honoraires : 43320 euros).
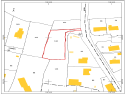
Terrain à construire dans le bourg de Saint julien de Vouvantes d'environ 2 166m2 Terrain non viabilisé mais réseaux (eau/électricité/télécom/tout à l'égout) à proximité Hors lotissement et libre de constructeur
Ce bien vous est proposé par votre agent indépendant Yoann Trouillaud (EI) - numéro RSAC 929280865 - Nantes RC Pro Abeille assurances Les informations sur les risques auquels ce bien est exposé sont disponibles sur le site Géorisques: www.géorisques.gouv.fr - Annonce rédigée et publiée par un Agent Mandataire -
2166 m²
22 €
2166 m²
11.54 %
Oui
Contact TROUILLAUD Yoann
Contacter gratuitement à l'aide du formulaire ci-dessous.