Terrain à construire bourg de Saint Julien de Vouvantes 2 42
Saint-Julien-de-Vouvantes 44670
0
Honoraires à la charge de l'acquéreur (Prix hors honoraires : 48540 euros).
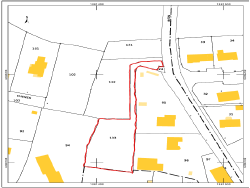
Terrain à construire dans le bourg de Saint julien de Vouvantes d'environ 2 427m2 Terrain non viabilisé mais réseaux (eau/électricité/télécom, tout à l'égout) à proximité Hors lotissement et libre de constructeur
Ce bien vous est proposé par votre agent indépendant Yoann Trouillaud (EI) - numéro RSAC 929280865 - Nantes RC Pro Abeille assurances Les informations sur les risques auquels ce bien est exposé sont disponibles sur le site Géorisques: www.géorisques.gouv.fr - Annonce rédigée et publiée par un Agent Mandataire -
2427 m²
22 €
2427 m²
10.30 %
Oui
Contact TROUILLAUD Yoann
Contacter gratuitement à l'aide du formulaire ci-dessous.