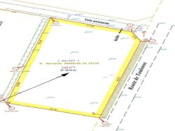
Eaunes, beau terrain plat de 3019m² Surface constructible de 295m² Emprise au sol 362m² Hauteur maximale à l'égout autorisée 5.53m Autorisation d'assainissement autonome délivrée ainsi que autorisation de rejet dans fosset. Viabilisation : eau, électricité, télécom devant la parcelle Vue dégagée Puits Pas de possibilité de diviser le terrain
Localisation : A 2 km du centre du village et de toutes ses commodités A 500m du super U A 700m de l'école maternelle A 500m du Bus Ligne 314 : gare SNCF de MURET 15mn, lycée Aragon 10mn et centre village 5mn
Un permis de construire a été déposé et accepté : Pour un particulier : Possibilité de construire selon le permis existant ou de réaliser un nouveau projet sans dépasser les surfaces du projet initial Pour un professionnel : possibilité de partenariat pour construire 2 maisons selon le permis de construire dans un objectif de revente.
Votre conseiller Hello-immo : Coach immobilier - Alexandra Ratinaud. Hello-immo n'est pas une agence immobilière. Le Coach immobilier accompagne le propriétaire dans sa vente entre particuliers. Gratuit pour l'acheteur. Pas de commission d'agence, prestation de service à la charge du vendeur.
3019 m²
106 €
3019 m²
Oui
Oui
Contact Alexandra Ratinaud
Contacter gratuitement à l'aide du formulaire ci-dessous.