Honoraires à la charge de l'acquéreur (Prix hors honoraires : 50000 euros).
Amandine CADEAC conseillère indépendante en Immobilier vous propose un terrain plat constructible sur Pamiers, dans une impasse proche des commodités.
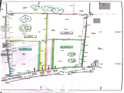
D'une belle superficie de 873 m², ce terrain vous séduira par son potentiel et son environnement calme. Idéal pour un projet de construction sur mesure, il vous permettra de profiter d'un cadre de vie agréable tout en restant à proximité immédiate des commerces et services.
Un emplacement idéal pour concrétiser un projet de vie dans un secteur prisé.
À prévoir : installation d'une microstation d'assainissement.
Ce bien vous intéresse ? Je suis à votre disposition pour vous accompagner dans votre projet. Contactez-moi sans tarder !
Honoraires inclus de 10% TTC à la charge de l'acquéreur. Prix hors honoraires 50 000 . Les informations sur les risques auxquels ce bien est exposé sont disponibles sur le site Géorisques : georisques.gouv.fr.
Votre conseiller We Invest France : Amandine Cadeac Agent commercial (Entreprise individuelle) RSAC 953 116 464 FOIX. Les informations sur les risques auxquels ce bien est exposé sont disponibles sur le site Géorisques : www.georisques.gouv.fr
873 m²
63 €
873 m²
10 %
Contact Amandine CADEAC
Contacter gratuitement à l'aide du formulaire ci-dessous.