Honoraires à la charge de l'acquéreur (Prix hors honoraires : 50000 euros).
Calme et sérénité pour votre projet construction ?
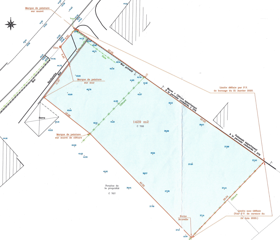
AKYLES-IMMO vous propose en exclusivité ce terrain constructible de 1039m² sur le Chemin de Widdebrouck à Aire sur la Lys.
Situé dans un cadre idyllique offrant une vue imprenable sur la campagne environnante, ce terrain est le point de départ idéal pour réaliser votre projet de vie. Offrant une largeur de 19,10m en façade avec accès à la voirie publique et une profondeur de 55,9 m , cette parcelle saura contenter tous vos projets immobiliers.
Profitez de la tranquillité de la campagne tout en étant à proximité de toutes les commodités nécessaires. À seulement 5 minutes en voiture, vous trouverez plusieurs écoles, de la crèche à l'élémentaire, ainsi qu'un collège. Un hôpital et plusieurs médecins généralistes sont également à proximité.
Bornage et certificat d'urbanisme réalisés, Terrain desservi aux réseaux d'eau potable et d'électricité Etude de sol G1 réalisée Hors lotissement, Libre de constructeur, Assainissement individuel à prévoir.
Pour visiter ou pour plus de renseignements, contacter :
Robin Planard au 06 03 11 09 55 (RSAC de Valenciennes Nº2022AC00175 )- Annonce rédigée et publiée par un Agent Mandataire- AKYLES-IMMO .Les honoraires sont à la charge de l'ACQUEREUR.
Honoraires inclus de 6% à la charge de l'acquéreur. Prix hors honoraires 50 000 . Les informations sur les risques auxquels ce bien est exposé sont disponibles sur le site Géorisques : georisques.gouv.fr.
Votre conseiller AKYLES-IMMO : Robin PLANARD Agent commercial (Entreprise individuelle)
1039 m²
51 €
1039 m²
6 %
Oui
Contact Robin PLANARD
Contacter gratuitement à l'aide du formulaire ci-dessous.