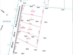
L'Agence Real Estate vous propose 4 terrains de 1121 m2 chacun, dont 6 ares sont constructibles, le reste étant un terrain agricole, ce qui permet une construction allant jusqu'à 35 m par rapport au début de la parcelle qui fait 60 m en longueur et 17 m de façade .
Les terrains sont bornés, non viabilisé mais tout le nécessaire se trouve juste devant les terrains.
Les terrains sont libres de constructeur, pas de constructions à venir sur la partie arrière.
Étude de sol G1 réalisée.
A voir sans tarder, beau projet à imaginer, secteur calme.
Pour plus de renseignements ou pour une visite contactez votre conseiller : Nicolas BLONDIN - Tél : +33 (0) 6 31 30 88 11 ou e-mail : nicolas.blondin@are.lu
Les informations sur les risques auxquels ce bien est exposé sont disponibles sur le site Géorisques : www.géorisques.gouv
Profitez de notre expérience, depuis 2008 nous sommes à l'écoute de nos clients en leur proposant toujours plus d'avantages ainsi qu'un service premium! Découvrez notre Pack 'Home' autour d'un café! Secteur France / Luxembourg
Honoraires à la charge du vendeur. Les informations sur les risques auxquels ce bien est exposé sont disponibles sur le site Géorisques : georisques.gouv.fr.
1121 m²
115 €
1121 m²
Oui
Oui
Contact nicolas blondin
Contacter gratuitement à l'aide du formulaire ci-dessous.