L'Agence Régine Villedieu Immobilier à Cherbourg en Cotentin, vous propose :
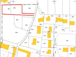
A Tourlaville, à 5 minutes à pied de la zone commerciale de Sauxmarais, ce terrain hors lotissement de 1 161m² est en cours de viabilisation. Il sera raccordé au tout à l'égout et disposera de la fibre optique.
Idéalement situé, il est au milieu d'un cadre arboré très champêtre. Véritable écrin de verdure au milieu de la Tourlaville, ce coin de campagne vous fera oublier la ville dès que vous franchirez votre portail !
Terrain libre de constructeur et sans règlement de lotissement. Le permis peut être déposé dès maintenant.
A 15 minutes de NAVAL GROUP / Cherbourg-en-Cotentin (20 minutes en vélo) A 30 minutes de ORANO / La Hague A 35 minutes de l'EPR / Flamanville
Honoraires à la charge du vendeur. Les informations sur les risques auxquels ce bien est exposé sont disponibles sur le site Géorisques : georisques.gouv.fr.
1161 m²
129 €
1161 m²
01/10/2025
Oui
Contact Regine Villedieu immobilier
Contacter gratuitement à l'aide du formulaire ci-dessous.