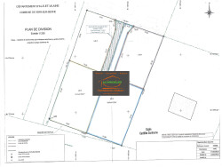
Terrain constructible Vezin Le Coquet 650 m2, libre de construct
Vezin-le-Coquet 35132
0
Honoraires à la charge de l'acquéreur (Prix hors honoraires : 187000 euros).
Les charges de location sont prévisionnelles mensuelles avec régularisation annuelle.
AG immobilier commissions réduites Pacé : Vous cherchez à réaliser un projet de construction à 7 minutes de Rennes dans un environnement privilégié, ne cherchez plus et venez visiter cette belle parcelle ! Nous sommes ravis de vous présenter ce terrain libre de constructeur dans un environnement calme, proche des bus et du centre. Ce terrain exposé sud vous permettra de faire une maison lumineuse, son zonage laisse de belles possibilités de construction. La parcelle est libre de constructeur et vous pourrez profiter d'une orientation sud pour rendre votre future maison parfaitement lumineuse. Le terrain se situe dans un environnement calme, proche d'un arrêt de bus et permet d'aller sur Rennes facilement via une piste cyclable sécurisée. La viabilisation est à prévoir à la charge de l'acheteur ! Honoraires d'agence réduits Prix HNI 195 040 (soit 187 000 net vendeur + 4.3% d'honoraires à la charge de l'acquéreur). AG IMMOBILIER-COMMISSIONS REDUITES PACE 02.99.85.61.30 2 agences à votre service situées sur RENNES et PACE ! Tous nos biens avec + de photos sur www.agimmobilier.fr Nous recherchons en permanence pour notre large clientèle des biens à vendre sur l'ensemble des communes suivantes : Pacé, Montgermont, Saint-Grégoire, L'HERMITAGE, Le Rheu, Parthenay de Bretagne, Clayes, Vezin le Coquet.
Honoraires inclus de 4.3% TTC à la charge de l'acquéreur. Prix hors honoraires 187 000 . Les informations sur les risques auxquels ce bien est exposé sont disponibles sur le site Géorisques : georisques.gouv.fr.
650 m²
300 €
650 m²
4.3 %
Contact AG IMMOBILIER - COMMISSIONS REDUITES
Contacter gratuitement à l'aide du formulaire ci-dessous.