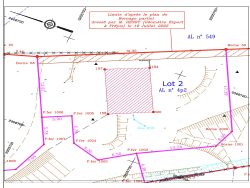
Terrain constructible de 799 m² Viabilisé, piscinable & au calme
Découvrez ce superbe terrain constructible de 799m², offrant une surface de plancher totale de 319m² (coefficient d'emprise au sol 0,20). Entièrement viabilisé (eau, électricité, télécoms, assainissement en place) et desservi par la fibre optique, ce terrain est prêt à accueillir votre projet de construction, idéalement une maison de 100m2 au sol plus un étage. Lotissement de 3 lots comprenant seulement 10 charges mensuelles.
Une petite bâtisse existante est présente sur la parcelle et sera démolie si besoin (démolition comprise dans le prix de vente). Ce terrain est piscinable, et vous permettra de concevoir la maison de vos rêves dans un cadre verdoyant et paisible, tout en restant proche des commodités.
Atouts du secteur : Environnement calme et résidentiel Crèches et collège à 5 min en voiture Commerces et restaurants à pied (10 à 15 min) Parcs, jardins et hôpital à 10 min en voiture Arrêt de bus à 5 min à pied pour faciliter vos déplacements
Un terrain rare sur le secteur, alliant tranquillité, connectivité et fort potentiel constructif. Une belle opportunité pour un projet familial ou une construction sur mesure.
Contactez-nous dès aujourd'hui pour plus d'informations ou organiser une visite.
Honoraires à la charge du vendeur. Les informations sur les risques auxquels ce bien est exposé sont disponibles sur le site Géorisques : georisques.gouv.fr. . LA CREMERIE vous accompagne dans vos projets avec une solution Clés en Main.
799 m²
538 €
799 m²
Oui
Contact SIGNATURE REAL ESTATE
Contacter gratuitement à l'aide du formulaire ci-dessous.