Goodshowcase
Vente terrain Fay-aux-Loges

5 terrains en vente à Fay-aux-Loges (45)

Trier par : Prix | Date

Vente terrain

Fay-aux-Loges 45450 - 0

66 900 €

...Ce terrain prêt à bâtir de 602m2 est prêt à accueillir votre projet de vie !Surface plancher de...

Voir l'annonce

Vente terrain

Fay-aux-Loges 45450 - 0

70 000 €

...gouv...

Voir l'annonce

Vente terrain

Fay-aux-Loges 45450 - 0

60 000 €

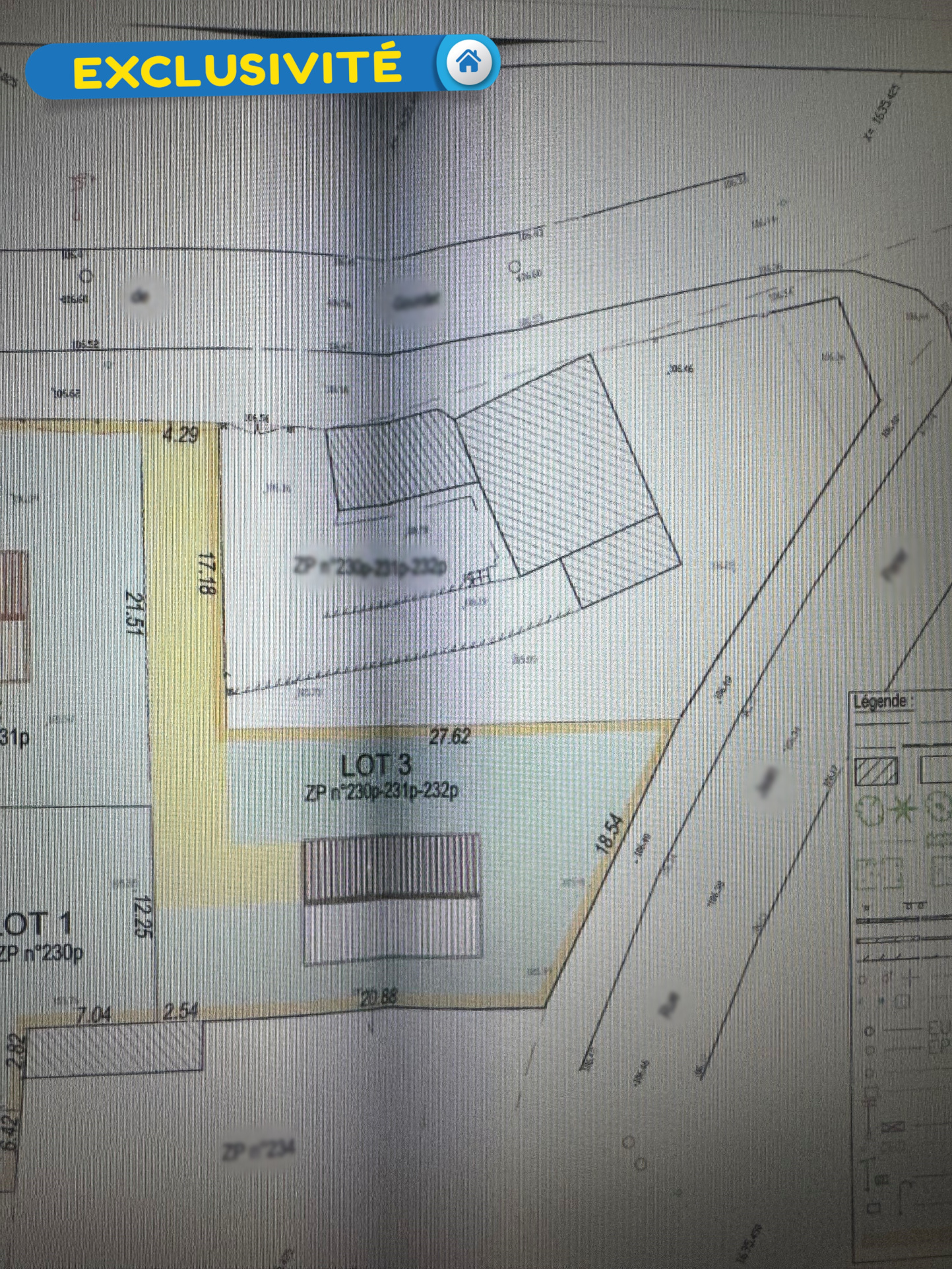
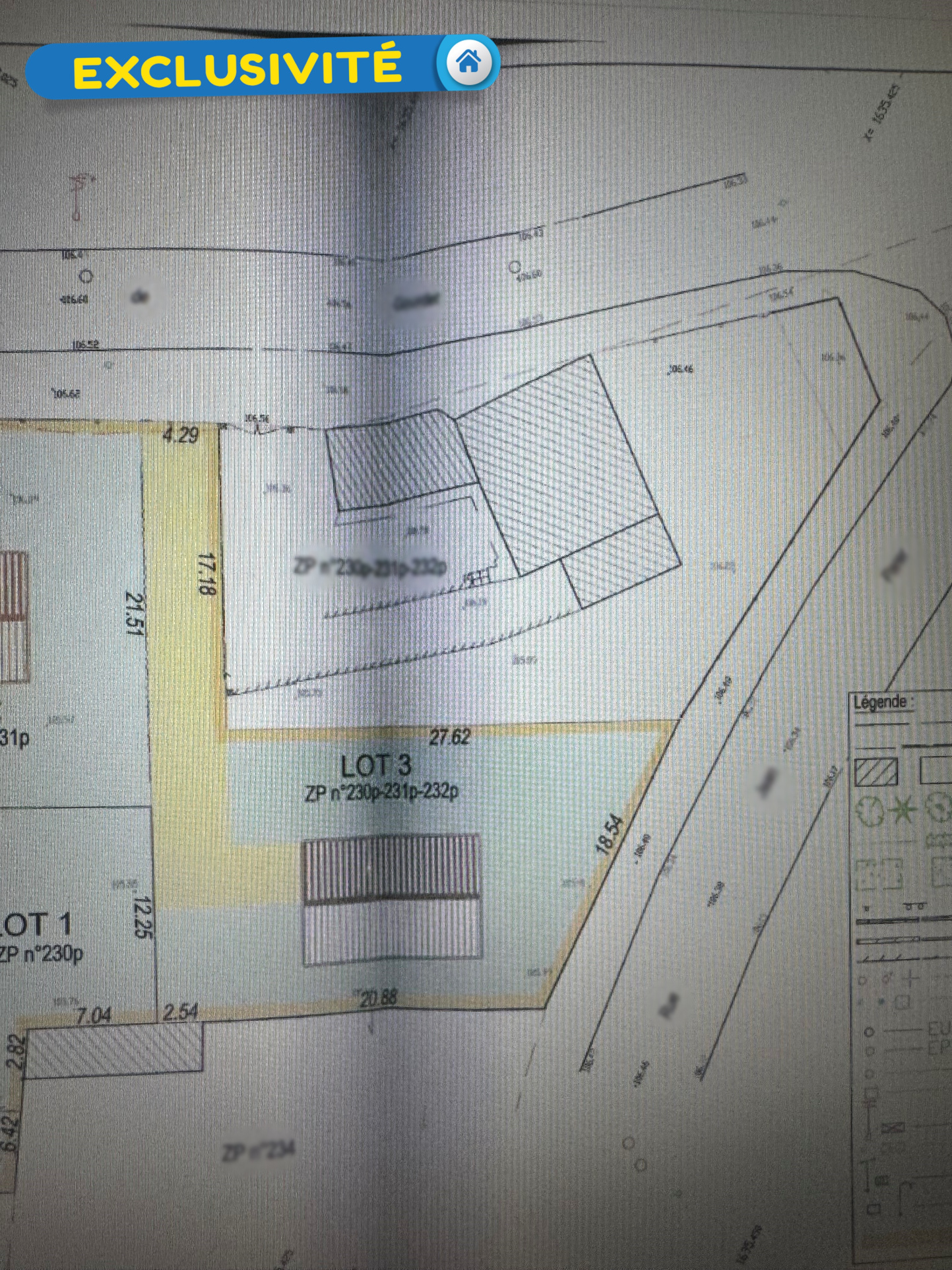
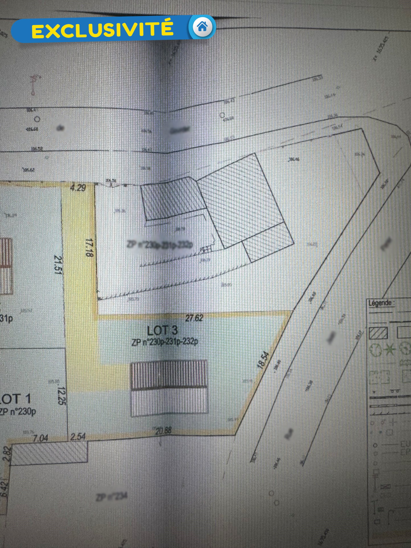
...Il offre une belle façade de 28 mètres linéaires et se trouve hors lotissement...

Voir l'annonce

Vente terrain

Fay-aux-Loges 45450 - 0

60 000 €

...Il offre une belle façade de 28 mètres linéaires...

Voir l'annonce

Vente terrain

Fay-aux-Loges 45450 - 0

49 000 €

...Libre de constructeur - non viabilisé...

Voir l'annonce