Goodshowcase
Vente terrain au dernier étage Ferrières-en-Gâtinais

0 terrain au dernier étage en vente à Ferrières-en-Gâtinais (45)

Trier par : Prix | Date

Annonces proches de vos critères

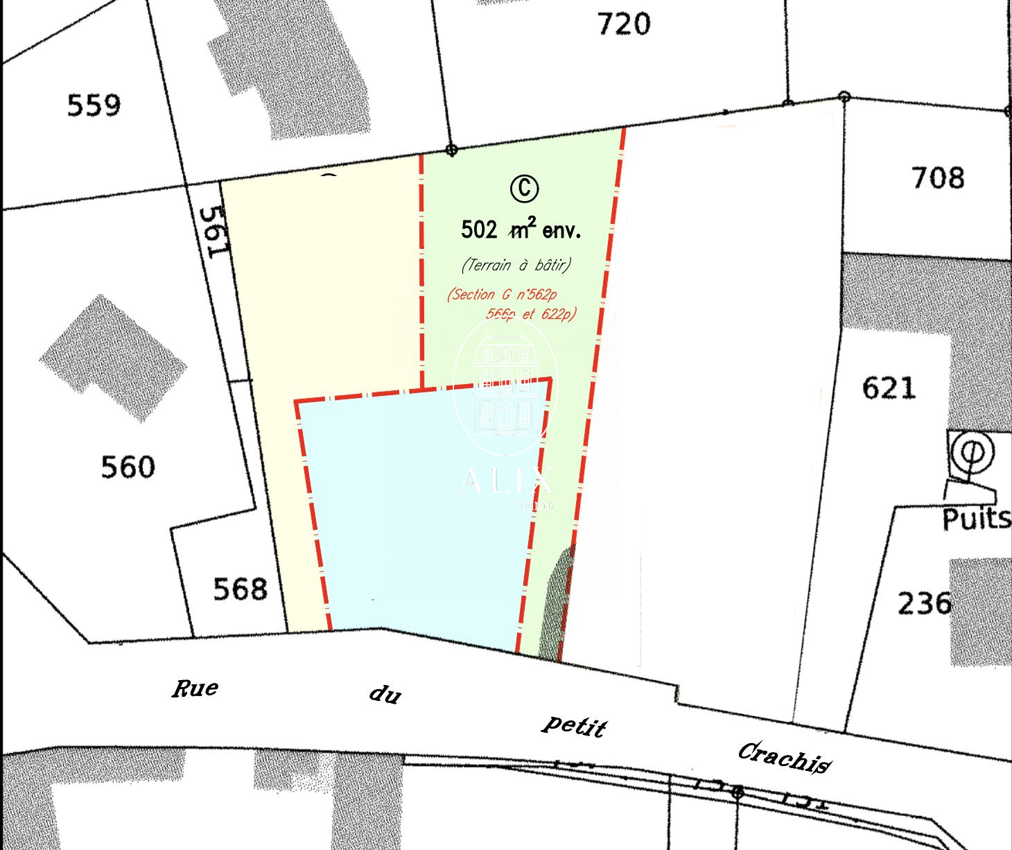
Vente terrain

Ferrières-en-Gâtinais 45210 - 0

55 000 €

...Gare SNCF à 15mn à pied...

Voir l'annonce

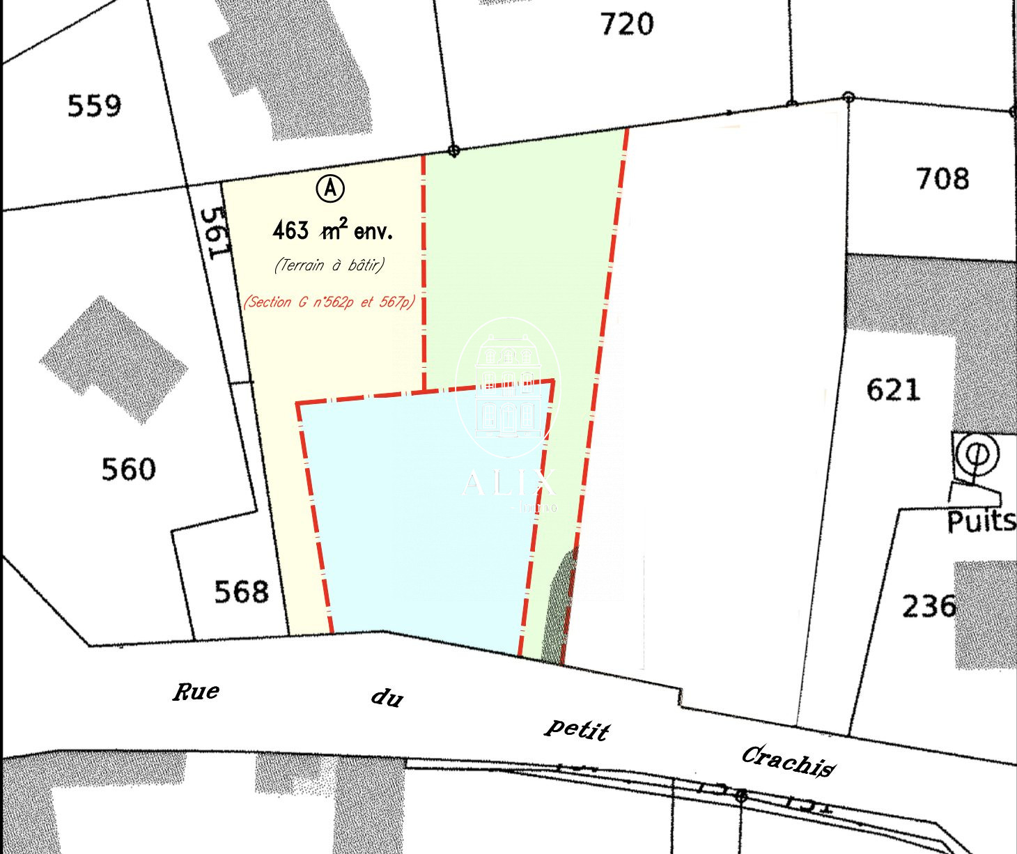
Vente terrain

Ferrières-en-Gâtinais 45210 - 0

57 000 €

...Gare SNCF à 15mn à pied...

Voir l'annonce

Vente terrain

Ferrières-en-Gâtinais 45210 - 0

59 000 €

...1h10 de Paris, accès A6, proche toutes commodités, commerces, écoles, collège...

Voir l'annonce

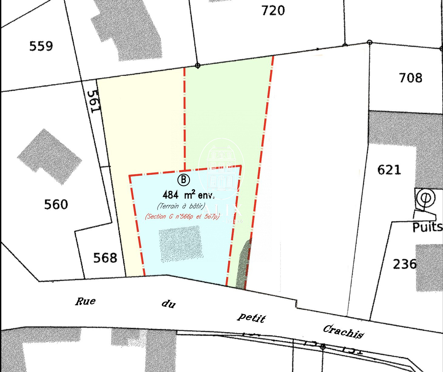
Vente terrain

Ferrières-en-Gâtinais 45210 - 0

45 000 €

...Raccordement eau, électricité et tout à l'égout à prévoir sur rue...

Voir l'annonce