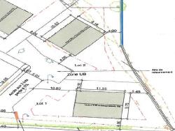
Terrain de 544m² à vendre à St Laurent du Pont, dans un petit lotissement de 3 lots.
Ce terrain est libre de constructeur et entièrement viabilisé.
Tout à l'égout.
Belle opportunité pour concrétiser un projet de résidence principale, secondaire ou un investissement patrimonial.
==> Des plans sont disponibles sur demande auprès d'un constructeur de maisons individuelles, pour vous aider dans votre projection.
Cette annonce référence 308218 vous est présentée par votre agent commercial BSK Immobilier LAURIANE BARTHELEMY (EI) immatriculé au RSAC de GRENOBLE (38000) sous le numéro 83993006200014.
Prix du bien : 79 000,00 €
Les honoraires d'agence sont à la charge du vendeur.
Les informations sur les risques auxquels ce bien est exposé sont disponibles sur le site Géorisques : www.georisques.gouv.fr
544 m²
145 €
544 m²
Contact Iad France - Lauriane BARTHELEMY
Contacter gratuitement à l'aide du formulaire ci-dessous.