Goodshowcase

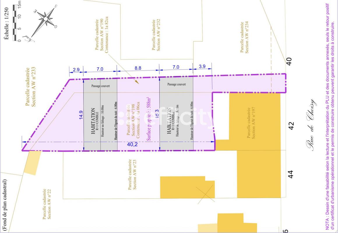
Vente terrain
352 000 €

Contact Virginia Graca

Contacter gratuitement à l'aide du formulaire ci-dessous.


Afficher le téléphone


Annonces similaires

Vente terrain

Champigny-sur-Marne 94500 - 0

335 000 €

...L'atout majeur de ce terrain est sa localisation:Moins de 20 minutes à pied de la gare RER A –...

Voir l'annonce

Vente terrain

Champigny-sur-Marne 94500 - 0

335 000 €

...À seulement 5 minutes à pied de la mairie et 18 minutes à pied du rer A ? Champigny-sur-Marne et...

Voir l'annonce

Vente terrain

Créteil 94000 - 0

317 000 €

...Créteil Village - Bords de Marne, un beau terrain constructible avec permis de construire obtenu...

Voir l'annonce

Vente terrain

Villeneuve-Saint-Georges 94190 - 0

370 000 €

...Localisation idéale En retrait de la route, à proximité immédiate des bords de Seine, ce terrain...

Voir l'annonce

Vente terrain

Vitry-sur-Seine 94400 - 0

370 000 €

...Caractéristiques principales : Surface : 488 m² Emplacement : Proche des commodités (écoles,...

Voir l'annonce