83170 - BRIGNOLES - QUARTIER HOPITAL - TERRAIN CONSTRUCTIBLE VIABILISE - 305 M² - EXCELLENTE OPPORTUNITE A SAISIR
effiCity, l'agence qui estime votre bien en ligne, vous propose :
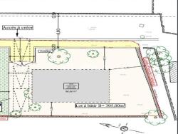
Situé dans un charmant quartier de Brignoles, ce terrain constructible et viabilisé (eau-électricité et tout a l égout) de 305 m² offre une excellente opportunité pour concrétiser votre projet de construction. Entièrement viabilisé, et en zone UC, il est prêt à accueillir votre future habitation.
Le terrain, doté d'une surface de 305 m², permet la construction d'une maison de 82,32 m² d' emprise au sol en R+1, offrant ainsi un espace de vie confortable et spacieux pour vous et votre famille.
Cette parcelle, entièrement clôturée et située dans un quartier paisible et recherché, vous garantit un environnement agréable et propice à la sérénité. À moins d'un kilomètre à pied du centre-ville, de l'hôpital Jean Marcel et du collège Cézanne, vous bénéficierez d'un accès facile aux commerces, écoles et services essentiels.
La fibre est également disponible dans la rue.
Ne manquez pas cette occasion unique de devenir propriétaire d'un terrain constructible prêt à accueillir vos projets.
N'hésitez pas à nous contacter pour plus d'informations et pour organiser une visite avec notre agent immobilier expérimenté, Anne-Cécile Chevalier, au 06 67 99 58 61 / acchevalier@efficity.com.
Les informations sur les risques auxquels ce bien est exposé sont disponibles sur le site Georisque : georisques. gouv. fr
Anne-Cécile Chevalier - EI - est Agent Commercial mandataire en immobilier, immatriculé au Registre Spécial des Agents Commerciaux du Tribunal de Commerce de Draguignan sous le n°829388594.
Siège social du mandant : effiCity, 48 avenue de Villiers - 75017 PARIS - Société par Actions Simplifiée, société au capital de 132 373,05 euros, immatriculée au RCS Paris 497 617 746 et titulaire de la Carte professionnelle CPI 7501 2015 000 002 025 - CCI Paris IDF - Caisse de Garantie : GALIAN Assurances 89 rue de la Boétie 75008 Paris
305 m²
357 €
305 m²
Oui
Contact Mme Anne-Cécile Chevalier
Contacter gratuitement à l'aide du formulaire ci-dessous.