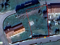
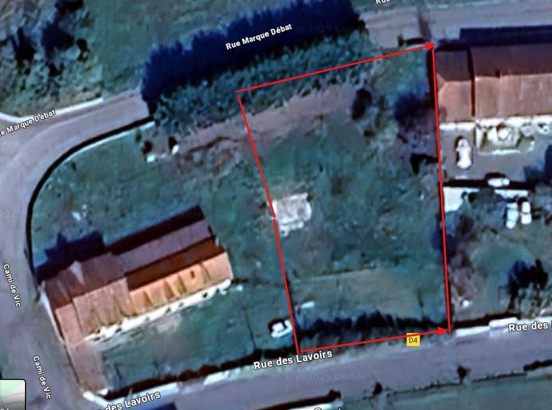
BAGNERES IMMOBILIER vous propose de découvrir ce terrain constructible avec certificat opérationnel valide, situé sur la commune de ORINCLES, d'une superficie totale de 1500m² dont 980m² constructibles. Viabilisation et tout à l'égout en bordures. Ce terrain plat avec vue imprenable sur la chaine des Pyrénées vous offre une liberté totale pour bâtir la maison de vos rêves dans un cadre privilégié. A voir absolument. Contactez nous au 05.62.91.10.36 ou par mail bagneresimmobilier@orange.fr
Honoraires à la charge du vendeur. Les informations sur les risques auxquels ce bien est exposé sont disponibles sur le site Géorisques : georisques.gouv.fr. . Pour plus d'informations ou pour organiser une visite, contactez-nous dès maintenant par téléphone au 05.62.91.10.36 ou par mail à bagneresimmobilier@orange.fr
1500 m²
43 €
1500 m²
Oui
Oui
Contact BAGNERES IMMOBILIER
Contacter gratuitement à l'aide du formulaire ci-dessous.