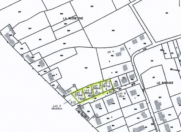
Ce terrain est situé dans le quartier calme et résidentiel des Varennes composé uniquement de maisons individuelles. L'accès à l'A714 à l'avantage d'être à proximité. Constructible, il dispose des réseaux sur la voirie. Sa surface plate est de 480 m2 avec une façade sur rue d'environ 14 m.
L'étude des sols a été réalisée.
Les informations sur les risques auxquels ce bien est exposé sont disponibles sur le site Géorisques : www.georisques.gouv.fr
Prix de vente honoraires d'agence inclus : 15 000 €
Prix de vente hors honoraires d'agence : 12 500 €
Honoraires : 20 % TTC de la valeur du bien hors honoraires
Contactez votre consultant megAgence : Stéphane PIERRE, Tél. : 06 75 87 48 48, E-mail : stephane.pierre@megagence.com - EI - Agent commercial immatriculé au RSAC de MONTLUCON sous le numéro 831 909 031
480 m²
31 €
480 m²
Contact Marc Lelogeais
Contacter gratuitement à l'aide du formulaire ci-dessous.