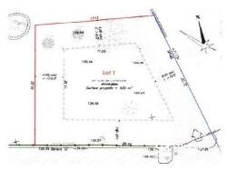
Découvrez cette belle opportunité de terrain constructible situé à Fourques, dans un cadre paisible et agréable. Avec ses 435 m² de surface et un coefficient d'occupation des sols de 0,50, ce terrain est idéal pour bâtir une maison individuelle 4 faces, fonctionnelle et baignée de lumière.
Caractéristiques principales : Ce terrain est déjà viabilisé, prêt à accueillir votre projet de construction. Il se trouve à seulement 6 km de Thuir, dans un emplacement bien desservi.
Vous profiterez d'une proximité stratégique avec des lieux attractifs : 29 km de la Méditerranée, 19 km de l'Espagne, 14 km de l'autoroute A9 et 16 km de Perpignan. L'environnement offre également toutes les commodités nécessaires : une école primaire, une supérette, une pharmacie, des professionnels de santé, ...
Ne manquez pas cette opportunité de construire votre maison dans un emplacement alliant calme, confort et accessibilité. Pour toute question ou pour plus d'informations, n'hésitez pas à me contacter. Je serai ravi de vous accompagner dans votre projet immobilier ! ?
Patrick Lengagne Conseiller Immobilier Sweven Immobilier
Honoraires à la charge du vendeur. Les informations sur les risques auxquels ce bien est exposé sont disponibles sur le site Géorisques : georisques.gouv.fr.