Honoraires à la charge de l'acquéreur (Prix hors honoraires : 102000 euros).
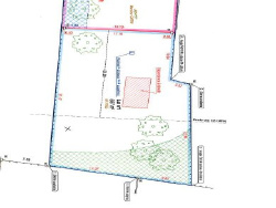
Terrain à bâtir à vendre - 687 m2 au calme Venez découvrir ce magnifique terrain à bâtir de 687 m2, situé en second rang, au calme, et offrant un accès privé via un chemin d'accès. Ce terrain est hors lotissement et libre constructeur, vous offrant ainsi une grande liberté pour réaliser votre projet immobilier. Caractéristiques principales :
Surface totale : 687 m2 (hors chemin d'accès)
Façade : 22 m
Emprise au sol : supérieure à 200 m2
Surface de pleine terre : 60 % à laisser intacte
Construction possible jusqu'à 9 m au faîtage et 6 m à l'égout de toit
Exposition sud en façade arrière
Ce terrain vous permet de construire une belle maison familiale ou même deux petites maisons, selon vos besoins. Avec la possibilité de construire un étage 'droit', vous bénéficierez d'un beau potentiel d'aménagement, tout en respectant les normes d'urbanisme. Situation idéale : Idéalement situé, il bénéficie d'un cadre calme tout en étant à proximité de toutes les commodités. La ligne de bus 51 est à quelques mètres à pied, et la gare SNCF toute proche vous permet de rejoindre le centre d'Orléans en seulement 8 minutes. Ce terrain est une opportunité rare pour réaliser le projet de vos rêves dans un secteur prisé. Ne laissez pas passer cette chance de bâtir votre future maison dans un environnement agréable et accessible. Pour plus d'informations ou pour organiser une visite, contactez-nous !
687 m²
160 €
687 m²
7.75 %
Sud
Est
Oui
Contact SUCCESS IMMO
Contacter gratuitement à l'aide du formulaire ci-dessous.