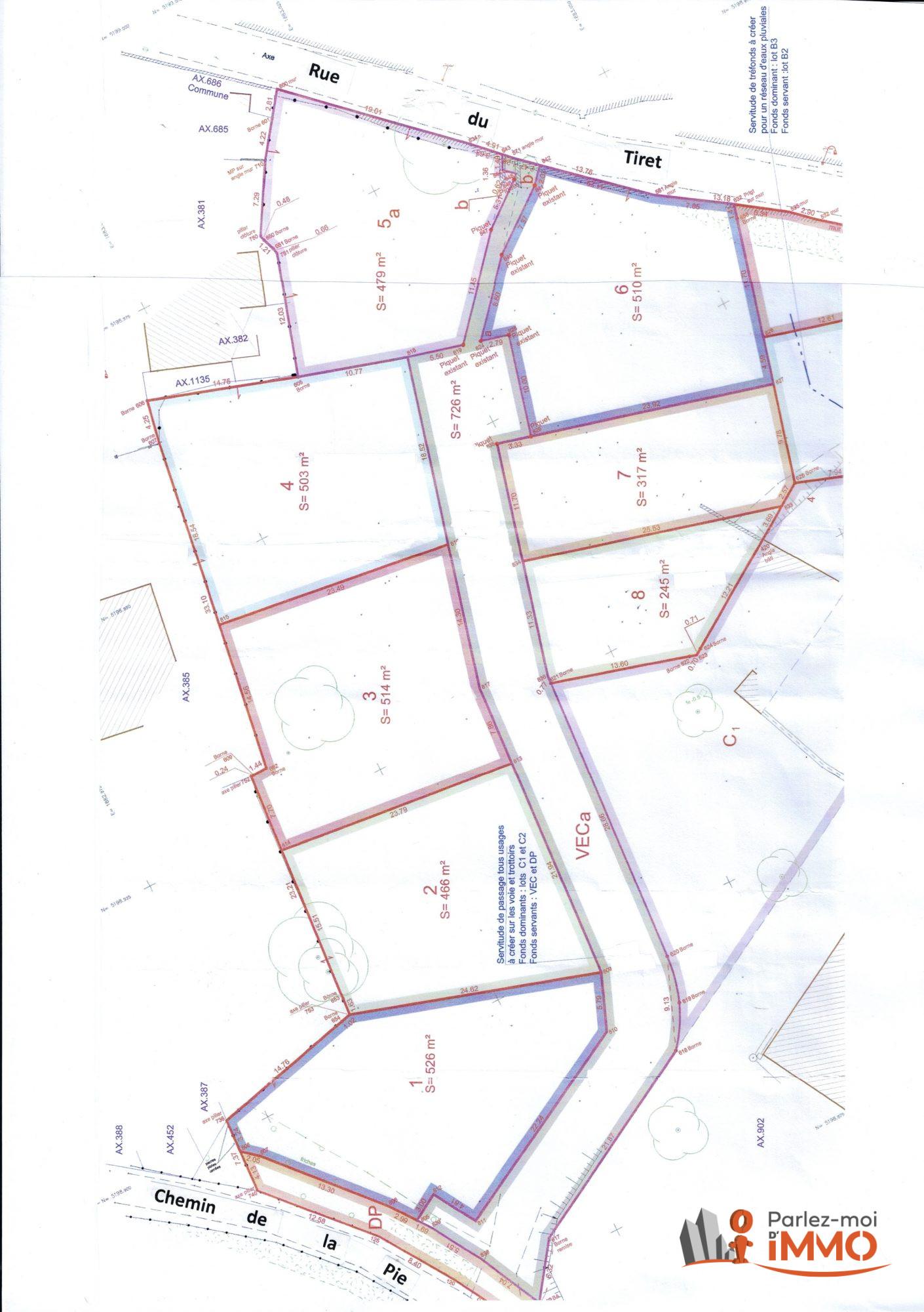
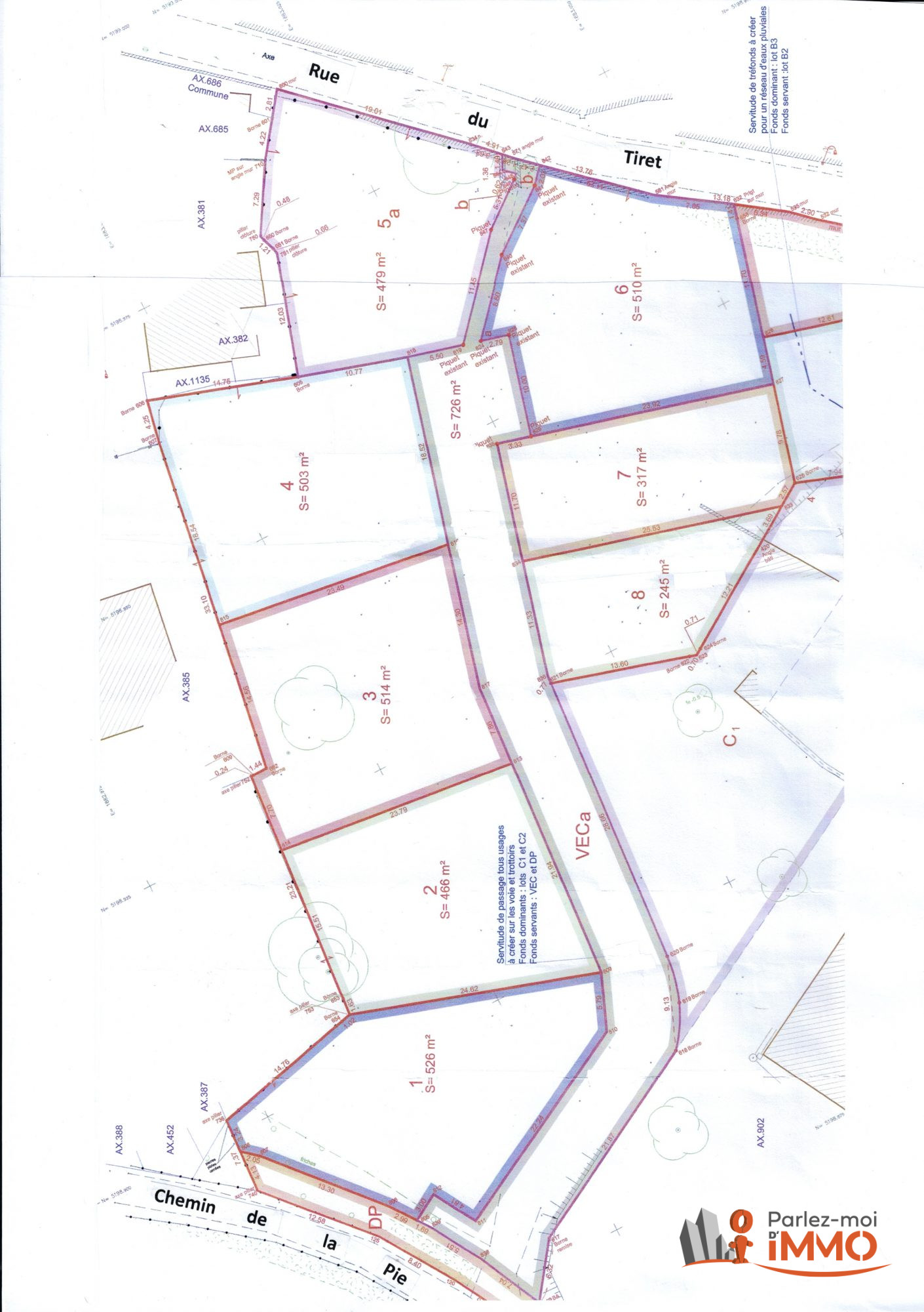
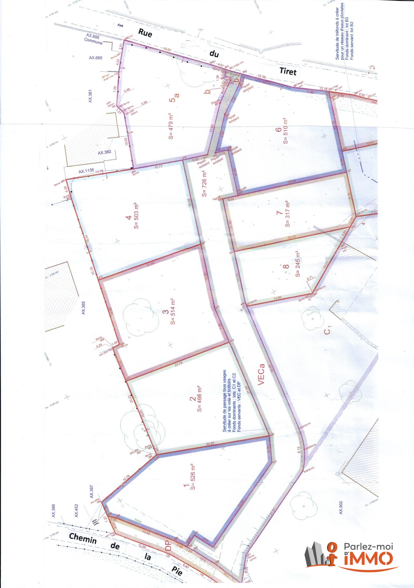
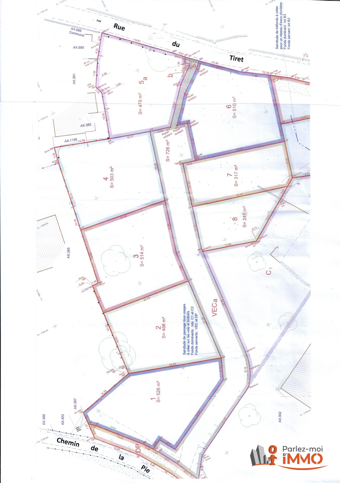
Sous compromis : Ambérieu-en-bugey. 130 000. Parlez-moi d'immo Lyon vous propose ce terrain viabilisé de 526 m² avec vue dégagée sur le Bugey et la Dombe. Situé en plein coeur du quartier Tiret d'Ambérieu-en-bugey, vous profiterez d'un accès privilégié aux commodités, aux écoles, restaurants et boulangeries. Le terrain fait partie d'un lotissement de 8 terrains. Mentions légales: Les informations sur les risques auxquels les biens sont exposés sont disponibles sur le site Géorisques: www.georisques.gouv.fr, les honoraires sont à la charge du vendeur, notre barème est consultable sur notre site, les diagnostics ont été réalisés le 01/01/2025, hors DPE, hors GES, Montant estimé des dépenses annuelles d'énergie pour un usage standard entre et , Prix moyens des énergies indexés (abonnement compris) à la date du 00/01/1900, le bien n'est pas soumis au régime de copropriété . Pour toutes informations complémentaires Parlez-Moi d'Immo Lyon vous propose de contacter Lancelot SEILLER votre conseiller immobilier Indépendant (R.S.A.C. de BOURG-EN-BRESSE N° 938599727) spécialisé sur le secteur de Ambérieu-en-bugey au 07 82 11 12 48
Les informations sur les risques auxquels ce bien est exposé sont disponibles sur le site Géorisques : georisques.gouv.fr.