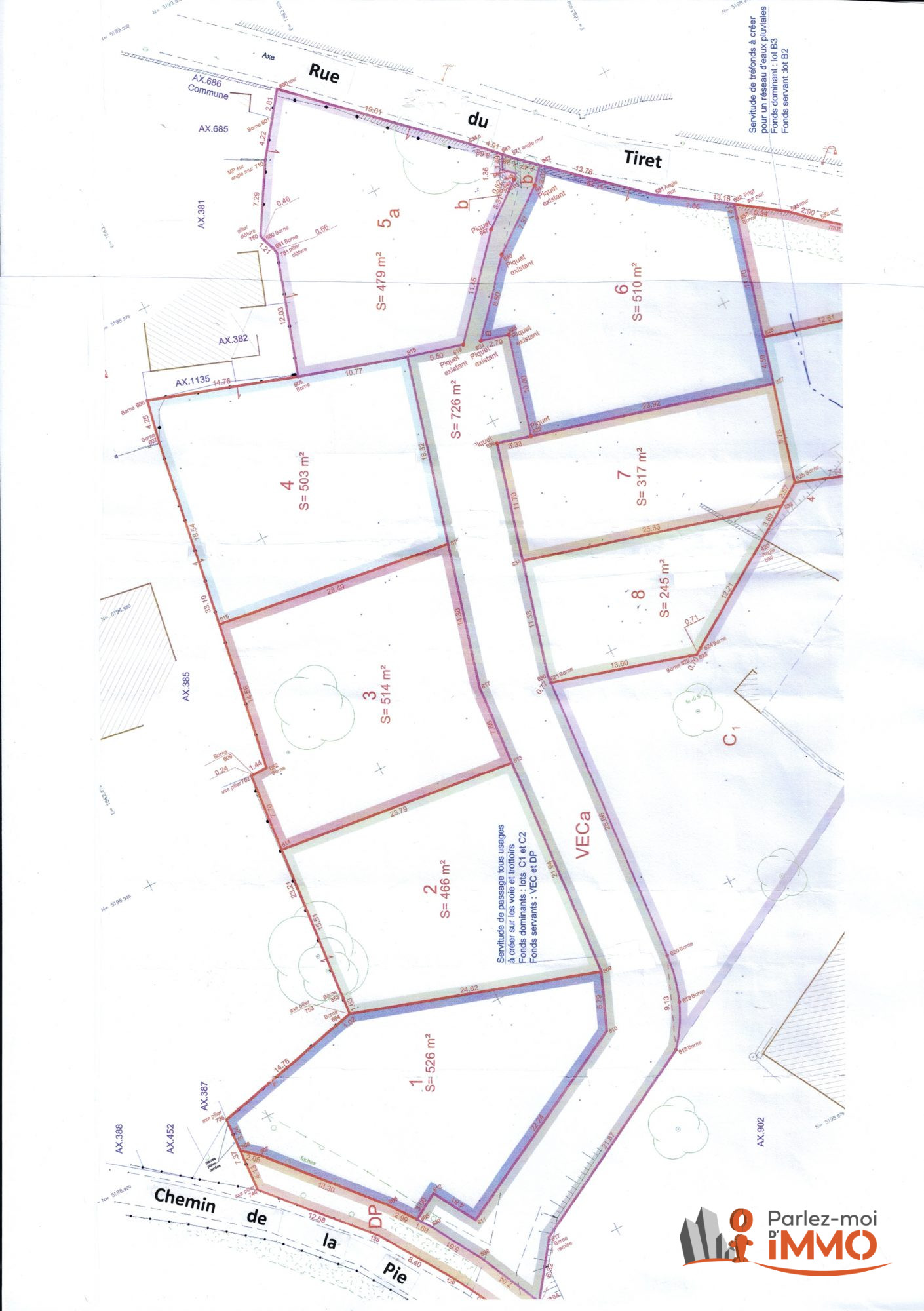
Nouveauté Teracyté Immobilier : Fabien DELLA GIUSTINA vous propose ce joli terrain plat et libre constructeur hors lotissement au coeur du village d'Ambérieux-en-Dombes. 346 m² avec un petit chemin d'accès en indivision avec votre futur voisin. Idéal pour maison de plain-pied ou à étages (Coefficient d'Occupation du Sol non règlementé). Vendu Viabilisé. Gare TER à 10 minutes, accès A46 en 20 minutes.
Bien situé dans une zone couverte par un plan de prévention des risques naturels et technologiques.
Honoraires charge vendeur.
Non soumis au DPE
Pour tout renseignement : Fabien DELLA GIUSTINA, Agent commercial RSAC Bourg-en-Bresse n°417699865 06 86 71 04 85 f.dellagiustina@teracyte-immobilier.fr
346 m²
332 €
346 m²
Oui
Contact Fabien DELLA GIUSTINA
Contacter gratuitement à l'aide du formulaire ci-dessous.