Goodshowcase
Location local proche lac Chanteheux

2 locaux proche lac en location à Chanteheux (54)

Trier par : Prix | Date

Location local

Chanteheux 54300 - 0

3 000 €

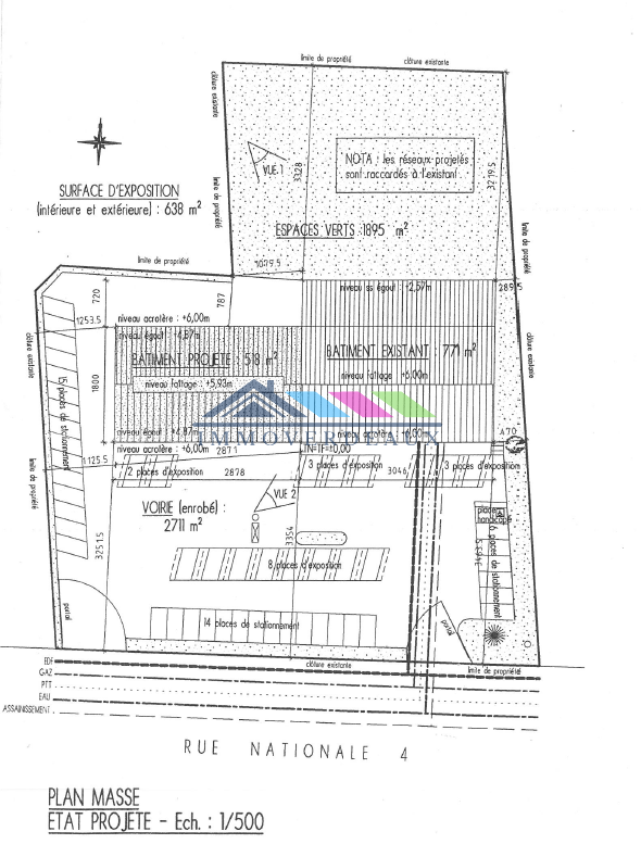
... d'environ 30 places

Les points forts du site :
• Emplacement prime avec fort trafic autom...

Voir l'annonce

Location local

Chanteheux 54300 - 0

1 500 €

... Son emplacement de choix de par sa situation géographique lui procure une visibilité et un accès op...

Voir l'annonce